Photonews Logo Photonews logo
  • Home
  • Pakistan
    • Punjab
    • Sindh
    • Khyber Pakhtunkhwa
    • Azad Jammu Kashmir
    • Balochistan
    • Gilgit – Baltistan
  • World
  • Business
  • Entertainment
  • Videos
    Zayn Malik Drops Die For Me Music Video
    Videos

    Zayn Malik Releases Die For Me Music Video Ahead of New Album

    February 6, 2026 3 Min Read
    Masters of the Universe teaser
    Videos

    Masters of the Universe Teaser Reveals Nicholas Galitzine as He-Man

    January 22, 2026 3 Min Read
    Bridgerton Season 4 trailer
    EntertainmentVideos

    Bridgerton Season 4 Trailer Reveals Benedict’s Love Story

    December 26, 2025 2 Min Read
  • Sports
  • Technology
  • Offbeat
  • Blog
  • Contact
Reading: Hurricane Melissa Batters Jamaica, Now Heads for Cuba as Category 4
PhotoNews PakistanPhotoNews Pakistan
Font ResizerAa
Search
  • Home
  • Pakistan
    • Punjab
    • Sindh
    • Khyber Pakhtunkhwa
    • Balochistan
    • Azad Jammu Kashmir
    • Gilgit – Baltistan
  • World
  • Business
  • Entertainment
  • Videos
  • Sports
  • Technology
  • Offbeat
  • Blog
  • Contact
Have an existing account? Sign In
Follow US
© 2022 Photonews. All Rights Reserved.
Hurricane Melissa
PhotoNews Pakistan > Top News > Hurricane Melissa Batters Jamaica, Now Heads for Cuba as Category 4
Top NewsWorld

Hurricane Melissa Batters Jamaica, Now Heads for Cuba as Category 4

Web Desk
By Web Desk Published October 29, 2025 2 Min Read
Share
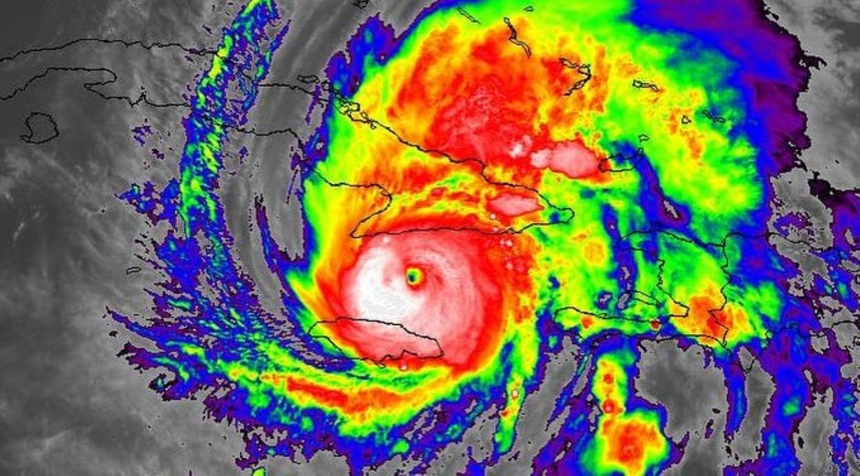
Satellite image of Hurricane Melissa
SHARE

Hurricane Melissa has carved a path of destruction through the Caribbean. The storm made landfall in Jamaica as a catastrophic Category 5 hurricane, the strongest ever recorded to hit the island.

It has since weakened to a still extremely dangerous Category 4 storm. It is now churning toward Santiago de Cuba, Cuba’s second-largest city.

The hurricane made landfall in southwestern Jamaica with sustained winds of 185 mph. The storm caused widespread, catastrophic damage across the island. Jamaican Prime Minister Andrew Holness reported significant damage to hospitals, homes, and road infrastructure. More than 500,000 residents are without power, and entire parishes were left submerged.

Well, this is crazy. Coming off of her historically violent, 185 MPH landfall in Jamaica, Hurricane Melissa has rapidly reorganized on her way to Cuba despite being heavily disrupted by mountainous terrain. The latest NHC advisory has her back at CATEGORY 4 status with winds of… pic.twitter.com/FkBKZuwlG8

— Backpirch Weather (@BackpirchCrew) October 29, 2025

While no fatalities have been confirmed, officials fear there will be a loss of life. The World Meteorological Organisation called it “the storm of the century” for Jamaica. With the storm now heading for Cuba, a massive evacuation is underway. Cuban authorities have ordered approximately 500,000 people to move to higher ground.

President Miguel Diaz-Canel warned citizens that the cyclone “will cause significant damage.” The storm is expected to lash the island with destructive winds and life-threatening storm surge. The Bahamas, next in the storm’s projected path, has also begun ordering evacuations.

Read: Catastrophic Hurricane Melissa, a Category 5 Storm, Takes Aim at Jamaica

The disaster extends beyond Jamaica and Cuba. Haiti and the Dominican Republic have already experienced days of torrential rain from the storm’s outer bands, leading to at least four deaths.

Scientists warn that climate change is intensifying storms faster. This has led to calls from Caribbean leaders for greater support from heavy-polluting nations to address the escalating climate crisis.

TAGGED:Featured
Share This Article
Facebook Twitter Pinterest Whatsapp Whatsapp LinkedIn Email Copy Link Print
Leave a comment

Leave a Reply Cancel reply

Your email address will not be published. Required fields are marked *

Advertisement

Recent Posts

PCB logo on a silver medallion placed on green cricket pitch.

PCB Demands Apology Over “Fake News” Targeting National Cricketers’ Character

China five-year plan AI push

China Five-Year Plan AI Push: “AI+” Strategy Targets Economy-Wide Adoption

Drake Maye reacts to Diggs' exit

Drake Maye Reacts to Stefon Diggs Exit as Patriots Move On After One Season

Post Archives

More Popular from Photonews

Petrol price March 2026 Pakistan
Pakistan

Petrol Price Increased by Rs1 for March 2026, Diesel Unchanged

1 Min Read
IESCO power suspension schedule
Pakistan

IESCO Power Suspension Schedule Announced for Islamabad and Rawalpindi

2 Min Read
Mojtaba Khamenei, a potential successor to late Ayatollah Ali Khamenei.
Top NewsWorld

Who is Mojtaba Khamenei Iran’s to Be Supreme Leader?

3 Min Read
Entertainment

Ice Spice responds to Ozempic rumours with candid post

Ice Spice responds to Ozempic rumours after facing online accusations about her recent weight loss. A…

March 3, 2026
Azad Jammu Kashmir

AJK Digital Invoicing System Launch Aims to Modernise Tax Collection

The launch of the AJK digital invoicing system marks a significant step toward modernising tax collection in…

February 28, 2026
Top NewsWorld

Qatar Condemns Iran Attacks on Gulf in Call With Tehran

Qatar condemns Iran's attacks on Gulf states, with Prime Minister Sheikh Mohammed bin Abdulrahman Al Thani…

March 5, 2026
Pakistan

Pakistani News Channels Hacked With Pro‑Mossad Messages

Pakistani news channels report a cyber attack that replaced content with pro‑Mossad messages. The Pakistan pro-Mossad…

March 2, 2026
PhotoNews Pakistan

Always Stay Up to Date

Subscribe to our newsletter to get our newest articles instantly!

Categories

  • World
  • Pakistan
  • Punjab
  • Sindh
  • Khyber Pakhtunkhwa
  • Balochistan
  • Azad Jammu Kashmir

 

  • Top News
  • Business
  • Entertainment
  • Sports
  • Videos
  • Tech
  • Offbeat
  • Blog
  • About Us
  • Privacy Policy
  • Code of Ethics & Editorial Standards

© 2026 Phototnews
All Rights Reserved.

Welcome Back!

Sign in to your account

Lost your password?